Inatural - Inmobiliaria

Inatural – Inmobiliaria

  • Inicio
  • Propiedades
    • Diseño de lista
    • Diseño de lista de ancho completo
    • Diseño de cuadrícula
    • Diseño de cuadrilla de ancho completo
    • Diseño de medio mapa
  • En venta
    • Galería a dos columnas
    • En Venta
    • Galería a cuatro columnas
  • Para alquiler
    • En Venta
    • Para Alquiler
    • Preguntas Frecuentes
  • Contacto
098300824
Inatural - Inmobiliaria

Inatural – Inmobiliaria

  • Inicio
  • Propiedades
    • Diseño de lista
    • Diseño de lista de ancho completo
    • Diseño de cuadrícula
    • Diseño de cuadrilla de ancho completo
    • Diseño de medio mapa
  • En venta
    • Galería a dos columnas
    • En Venta
    • Galería a cuatro columnas
  • Para alquiler
    • En Venta
    • Para Alquiler
    • Preguntas Frecuentes
  • Contacto
098300824

Noticias

Predio Con Fraccionamiento Aprobado

Por

ivana

Publicado en Uncategorized En Ene 21, 2025

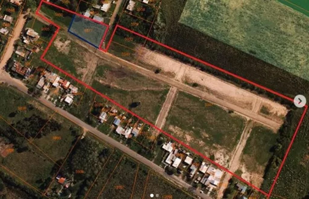
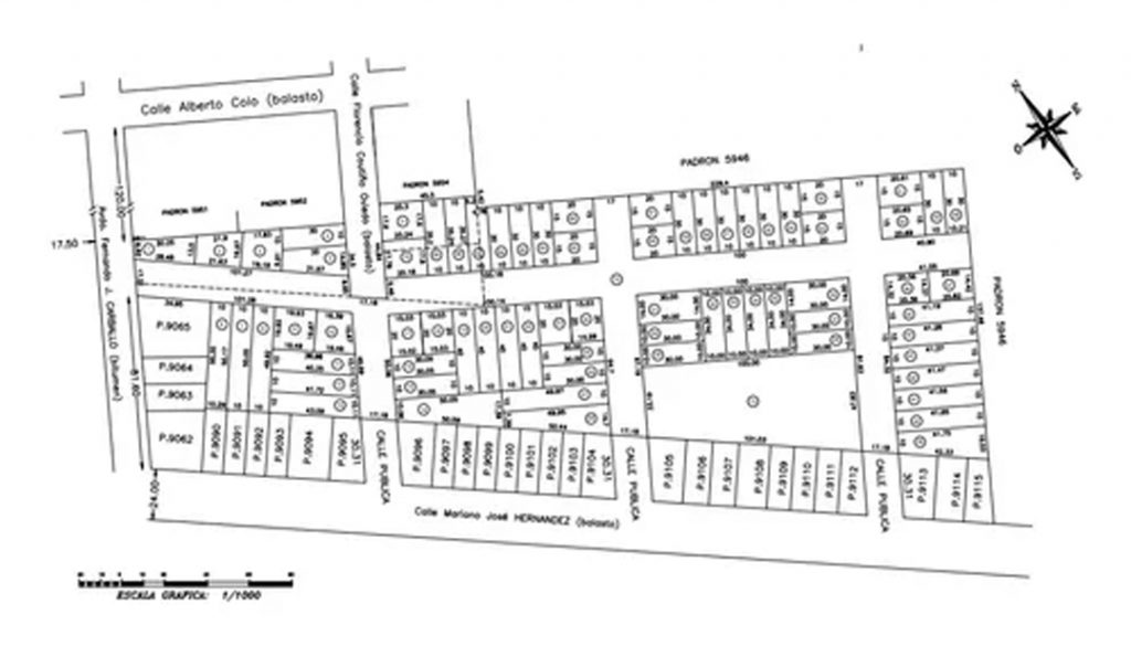
Predio compuesto de 5 padrones con Proyecto de Fraccionamiento Aprobado con 71 solares de entre 300 m3 y 500 m2.

US$480.000

40379 m² totales

Acceso: Asfalto.

Deja una respuesta Cancelar la respuesta

Tu dirección de correo electrónico no será publicada. Los campos obligatorios están marcados con *

Entradas recientes

  • Predio Con Fraccionamiento Aprobado
  • Hello world!
  • Formato de la galería
  • Formato de la imagen
  • Formato de Video Post

Comentarios recientes

  • A WordPress Commenter en Hello world!

Propiedades Destacadas

Destacado
Venta Casa Buceo
Ver Propiedad

Venta Casa Buceo

Hermosa Casa ubicada en Ramón Anador, BuceoModerna, amplia, funcional y…

Habitacións
3
Baños
Q
Área
193 m2

USD 320.000

Destacado
Ver Propiedad

Chacra en Venta

Aproximadamente 7 hectáreas, a pasos de la ciudad. Propiedad única…

Habitacións
3
Baños
4
Área
7 Has.
En Venta

USD 580.000

Categorías

  • Lujo
  • Tendencias del mercado
  • Uncategorized

Inatural – Inmobiliaria

/Montevideo - Colonia

Enlaces Rápidos

  • Inicio
  • Mapa con propiedades
  • Contacto
  • Propiedades
  • Link a Instagram

© 2020. Todos los derechos reservados.

Inatural – Inmobiliaria
  • Ingresa en
¿Olvidó la contraseña?